🔔 नोटिस : इंटर्नशिप का सुनहरा अवसर. पत्रकार बनना चाहते हैं, तो राष्ट्रभारत से जुड़ें. — अपना रिज़्यूमे हमें digital@rashtrabharat.com पर भेजें।

Cyclone Montha: चक्रवात ‘मोंथा’ बना गंभीर तूफ़ान, आंध्र प्रदेश के तट से टकराने की चेतावनी

Cyclone Montha 2025: आंध्र प्रदेश के तटीय जिलों में अलर्ट, काकीनाडा और मछलीपट्टनम के बीच रात तक टकरा सकता है तूफान
Cyclone Montha 2025: आंध्र प्रदेश के तटीय जिलों में अलर्ट, काकीनाडा और मछलीपट्टनम के बीच रात तक टकरा सकता है तूफान (File Photo)
अक्टूबर 28, 2025

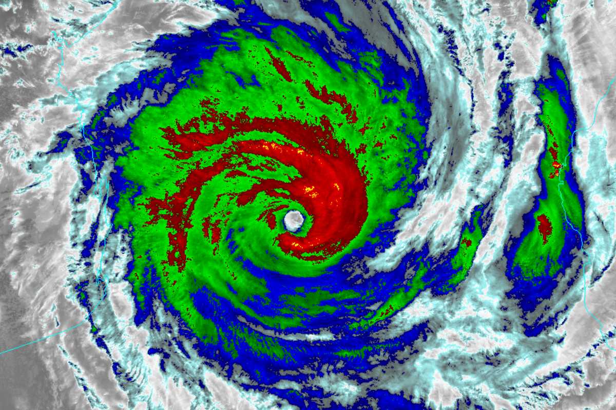
चक्रवात ‘मोंथा’ बना गंभीर तूफ़ान, आंध्र प्रदेश के तट पर बढ़ा खतरा

बंगाल की खाड़ी के पश्चिम-मध्य भाग में उठे चक्रवात ‘मोंथा’ ने अब गंभीर रूप धारण कर लिया है। भारतीय मौसम विभाग (आईएमडी) ने चेतावनी दी है कि यह तूफ़ान मंगलवार शाम या रात तक आंध्र प्रदेश के काकीनाडा और मछलीपट्टनम के बीच तट से टकरा सकता है। इस दौरान अधिकतम हवा की गति 90 से 100 किलोमीटर प्रति घंटे तक पहुँच सकती है, जबकि झोंकों की रफ्तार 110 किलोमीटर प्रति घंटे तक हो सकती है।

मोंथा चक्रवात की स्थिति और दिशा

आईएमडी की नवीनतम रिपोर्ट के अनुसार, ‘मोंथा’ ने बीते छह घंटों में लगभग 17 किलोमीटर प्रति घंटे की रफ्तार से उत्तर-पश्चिम दिशा में प्रगति की है। यह मंगलवार तड़के 2:30 बजे बंगाल की खाड़ी के उसी क्षेत्र में केंद्रित था, जो काकीनाडा से लगभग 310 किलोमीटर दक्षिण-दक्षिणपूर्व में और मछलीपट्टनम से करीब 230 किलोमीटर दक्षिण-पूर्व में स्थित है।

मौसम विभाग ने कहा कि ‘मोंथा’ का अर्थ थाई भाषा में “सुगंधित पुष्प” होता है, लेकिन इसका असर अब समुद्र और भूमि दोनों पर भयावह रूप में दिखने लगा है।

आंध्र प्रदेश में अलर्ट पर प्रशासन

चक्रवात की चेतावनी के बाद राज्य सरकार ने सभी तटीय जिलों में आपातकालीन तैयारियाँ शुरू कर दी हैं। विशेष रूप से पूर्वी गोदावरी, काकीनाडा, कृष्णा, नेल्लोर, और विशाखापट्टनम जिलों में प्रशासनिक अधिकारियों को सतर्क रहने के निर्देश दिए गए हैं।

राज्य आपदा प्रबंधन प्राधिकरण (APSDMA) ने राहत दलों को तैयार रखा है और तटीय इलाकों में रहने वाले लोगों को सुरक्षित स्थानों पर पहुँचाने का कार्य शुरू कर दिया गया है।

रेड, ऑरेंज और येलो अलर्ट जारी

आईएमडी ने आंध्र प्रदेश के 19 जिलों में रेड अलर्ट जारी किया है, जहाँ अत्यधिक भारी वर्षा की संभावना है। नांदयाल, कडप्पा और अन्नमय्या जिलों में ऑरेंज अलर्ट जारी किया गया है, जहाँ भारी से बहुत भारी वर्षा हो सकती है।
वहीं, कुरनूल, अनंतपुर, श्री सत्य साई और चित्तूर जिलों में येलो अलर्ट घोषित किया गया है, जहाँ अगले 24 घंटों में 6 से 11 सेंटीमीटर तक वर्षा की संभावना है।

रेड अलर्ट का अर्थ है कि किसी जिले में 20 सेंटीमीटर से अधिक बारिश होने की संभावना है। ऑरेंज अलर्ट 11 से 20 सेंटीमीटर तक की वर्षा का संकेत देता है, जबकि येलो अलर्ट 6 से 11 सेंटीमीटर तक की भारी वर्षा को दर्शाता है।

हवाई और रेल सेवाएँ प्रभावित

खराब मौसम के कारण मंगलवार सुबह चेन्नई से आंध्र प्रदेश के विभिन्न शहरों, विशेषकर विशाखापट्टनम जाने वाली नौ उड़ानें रद्द कर दी गईं। वहीं, रेलवे विभाग ने भी तटीय इलाकों से गुजरने वाली कुछ ट्रेनों को आंशिक रूप से स्थगित करने की घोषणा की है।

आईएमडी ने चेतावनी दी है कि अगले तीन घंटों में अन्नमय्या, कडप्पा और नांदयाल जिलों में बिजली के साथ हल्की गरज-चमक और तेज हवाएँ चल सकती हैं, जिनकी रफ्तार 40 किलोमीटर प्रति घंटे तक पहुँच सकती है।

मछुआरों को समुद्र में न जाने की सलाह

मौसम विभाग ने मछुआरों को अगले 48 घंटों तक समुद्र में न जाने की सख्त सलाह दी है। समुद्री लहरों की ऊँचाई सामान्य से काफी अधिक होने की संभावना है, जिससे नौका संचलन में खतरा बढ़ सकता है।

तटीय सुरक्षा बल और नौसेना ने भी निगरानी बढ़ा दी है ताकि किसी आपात स्थिति में तुरंत राहत कार्य शुरू किया जा सके।

संभावित प्रभाव और राहत कार्य

विशेषज्ञों के अनुसार, यदि ‘मोंथा’ गंभीर चक्रवाती तूफान के रूप में भूमि से टकराता है, तो तटीय जिलों में भारी बारिश के साथ पेड़ों और बिजली के खंभों के गिरने की संभावना है। बिजली आपूर्ति बाधित हो सकती है, और निचले इलाकों में जलभराव की स्थिति भी बन सकती है।

राज्य सरकार ने जिला स्तर पर कंट्रोल रूम स्थापित किए हैं और एनडीआरएफ व एसडीआरएफ की टीमों को संवेदनशील क्षेत्रों में तैनात किया गया है।


Rashtra Bharat
Rashtra Bharat पर पढ़ें ताज़ा खेल, राजनीति, विश्व, मनोरंजन, धर्म और बिज़नेस की अपडेटेड हिंदी खबरें।

Aryan Ambastha

Writer & Thinker | Finance & Emerging Tech Enthusiast | Politics & News Analyst | Content Creator. Nalanda University Graduate with a passion for exploring the intersections of technology, finance, Politics and society. | Email: aryan.ambastha@rashtrabharat.com

Breaking